

SYDNEY

Sydney is the most populous city in Australia. It is on Australia’s south-east coast, on the Tasman Sea (wikipedia)

Sydney has various interesting buildings

More contemporary architecture includes the Sydney Opera House (1973), designed by Danish architect Jørn Utzon. Described as an “artistic monument”, it is one of the most recognisable landmarks in both Sydney and Australia and is a UNESCO World Heritage Site.
Sydney Harbour, is the natural harbour of Sydney. The harbour is an inlet of the Tasman Sea (part of the South Pacific Ocean).

Widely considered to be one of the world’s finest harbours, it is known for its beauty, and in particular, as the location of the Sydeney opera House and Sydney Harbour Bridge

Many recreational events are based on or around the harbour itself particularly the Sydney’s New Year’s Eve celebrations
Sydney New Year’s Eve 2008-2009
Sydney New Year’s Eve 2008–09 was the 14th Sydney New Year’s Eve held at Sydney Harbour on the evening of 31 December 2008 and in the early hours of 1 January 2009
9pm Family Fireworks
Midnight Fireworks
CAIRNS
Cairns is a regional city in the far north of Queensland, Australia
Cairns is located about 2,700 km (1,678 mi) from Sydney by road. It is a popular travel destination for foreign tourists because of its tropical climate.
It serves as a starting point for people wanting to visit the Great Barrier Reef
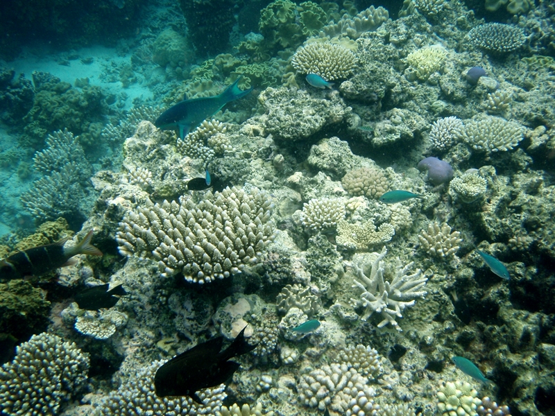
The Great Barrier Reef
The Great Barrier Reef is the world’s largest coral reef system composed of over 2,900 individual reefs and 900 islands stretching for over 2,300 kilometres (1,400 mi) over an area of approximately 344,400 square kilometres (133,000 sq mi). The reef is located in the Coral Sea, off the coast of Queensland.
It supports a wide diversity of life and was selected as a World Heritage Site in 1981.CNN labeled it one of the seven natural wonders of the world
All pictures are properties of Ani Krisnamurti
Text taken from wikipedia
The other posts of Austalia : The Great Ocean Road and Ayers&Kakadu










It’s a beautiful travel story conveyed through images…
A total package, I would say, Architecture, Fireworks, Underwater shots, Beautiful night shots…
Thanks you so much for sharing, Ani 🙂
you’re welcome :). it was a little difficult to choose good pictures for this album, especially the fireworks